2.2. Построение продольного профиля трассы. Пикетажный журнал трассы пример
Построение продольного профиля трассы — Мегаобучалка
Для построения берут лист миллиметровой бумаги 65 х 30 см. Сначала профиль составляют в карандаше, выполняя все необходимые построения тонкими линиями; закончив составление, профиль оформляют в туши. На рис.11 приведен образец части профиля, составленного для одного из вариантов.
Построение выполняют в такой последовательности:
1. В нижней левой части листа заготавливают сетку (разграфку) профиля со следующими сверху вниз горизонтальными графами (рис.11):
1) План трассы . . . . . . . . . . . . . ширина графы 20 мм
2) Уклоны (в тысячных) . . . . . . » » 10 мм
3) Проектные отметки . . . . . . » » 15 мм
4) Фактические отметки . . . . . . » » 15 мм
5) Расстояния . . . . . . . . . . . . . . . » » 10 мм
6) План прямых и кривых . . . . . » » 30 мм
Верхняя линия профильной сетки называется линией условного горизонта – УГ. Ее следует вычертить на утолщенной (жирной) горизонтальной линии миллиметровой бумаги: начало линии условного горизонта располагают на одной из утолщенных вертикальных линий миллиметровки.
2. По данным пикетажного и нивелирного журнала заполняют графу расстояний, откладывая в ней горизонтальные расстояния в масштабе 1:2000. Плановое положение всех пикетов и плюсовых точек фиксируют в этой графе вертикальными отрезками (перегородками). Вертикальные отрезки, обозначающие пикеты, в масштабе 1:2000 проводятся через каждые 5 см и должны попасть на утолщенные вертикальные линии миллиметровки. Под нижней линией графы расстояний, называемой линией пикетажа, подписывают номера пикетов. Пикетажные значения плюсовых точек не подписывают, но между вертикальными отрезками в графе 5 записывают горизонтальные расстояния между каждыми двумя соседними точками профиля (см. отрезок ПК1-ПК2 на рис.11). Если между соседними пикетами плюсовых точек нет, то в графе расстояний записывают 100 .
3. Заполняют графу фактических отметок, выписывая из нивелирного журнала отметки пронивелированных точек поверхности земли. Фактические отметки при записи их на профиле округляют до сотых долей метра.


Рис.11 Образец оформления части продольного профиля
4. По фактическим отметкам земли строят черную линию профиля, откладывая высоты точек в масштабе 1:200 вверх от линии условного горизонта. Все пронивелированные точки строят на перпендикулярах к линии условного горизонта, откладывая от этой линии в масштабе 1:200 соответствующие разности фактических отметок и отметки линии условного горизонта.
5. Графы 1 и 6 заполняют по данным пикетажного журнала. В графе 1, посередине ее, проводят ось дороги, условно развернутую в прямую линию, и в масштабе 1:2000 строят план полосы местности, прилегающей к трассе. Вместо изображения условных знаков угодий обычно пишут соответствующие названия: «луг», «выгон» и т. п. Короткими стрелками показывают направление основных скатов местности и углы поворота трассы дороги.
6. Рассчитанные для обеих кривых пикетажные значения НК и КК откладывают в масштабе 1:2000 на линии пикетажа. В графе 6 начало и конец каждой кривой отмечают перпендикулярами, опущенными от этой линии на среднюю линию графы 6, изображающую ось дороги. Вдоль перпендикуляра записывают расстояния от начала или конца кривой до ближайшего заднего и переднего пикетов. Кривые условно обозначают скобами, обращенными при поворотах трассы вправо – выпуклостью вверх, а при поворотах ее влево – выпуклостью вниз. Под каждой кривой записывают значения всех шести ее элементов. Над серединой каждой прямой вставки трассы выписывают ее длину, а под ней – ее румб.
Для изображения километрового указателя (на ПК0) от линии пикетажа
опускают перпендикуляр длиной 17 мм, на конце которого вычерчивают
окружность диаметром 5 мм и ее правую половину заливают тушью.
7. Примерно в 1,5 см над линией профиля показывают положение реперов. Для этого проводят вертикальные отрезки длиной около 2 см, вдоль которых – слева и справа – записывают прямоугольные координаты репера относительно трассы. На горизонтальной черте сверху указывают номер репера и его отметку.
8. Заглавную и прочие надписи на профиле выполняют в соответствии с образцом (см. рис.11). Литература: Федотов, Г.А. Инженерная геодезия [стр. 366-370].
Построение поперечного сечения трассы
Поперечное сечение располагают правее продольного. Оба его масштаба – и горизонтальный, и вертикальный – принимают одинаковыми (1:200). Сетку поперечника можно разбить на продолжении граф продольного профиля.
1. Для поперечного сечения подготавливают и заполняют только две графы: фактических отметок и расстояний.
Следует помнить, что все горизонтальные расстояния в поперечнике указываются от оси трассируемого сооружения. На поперечном сечение их следует откладывать вправо и влево от вертикального отрезка, обозначающего в графе расстояний положение ПК 2. Последний подписывают симметрично относительно этого отрезка под нижней линией графы расстояний. Расстояния между соседними точками поперечного сечения записывают в графе 5.
2. По фактическим отметкам строют линия поперечного сечения. Отметку его линии условного горизонта берут ту же, что и на продольном профиле.
3. Над поперечным сечением подписывают его название «Поперечное сечение на ПК 2», под чертежом указывают масштабы его построения.
Нанесение на продольный профиль проектной линии
Проектную (красную) линию наносят в соответствии с заданием (исходные данные п. 3). Все необходимые расчеты производят в «Тетради для контрольных работ № 2».
1. Заполняют графу 2 уклонов, прочерчивая в ней в местах переломов (изменений уклона) проектной линии вертикальные перегородки. У каждой перегородки, слева и справа вдоль нее, вертикально записывают расстояния в метрах на местности от места данного изменения уклона до ближайших заднего и переднего пикетов. Если это изменение происходит на пикете, то с обеих сторон пишут нули.
Внутри каждого узкого прямоугольника, на которые будет разбита графа уклонов, проводят диагональ: из верхнего левого угла в нижний правый, если уклон отрицательный (линия идет на понижение), или из нижнего левого в верхний правый, если уклон положительный. На горизонтальных отрезках трассы посередине графы проводят горизонтальную черту. Над диагональю или горизонтальной чертой указывают значение проектного уклона в тысячных, а под ней длину заложения в метрах, на которое этот уклон распространяется.
2. Вычисляют проектные (красные) отметки точек ПК 0, ПК 1+80, ПК 4 и ПК 5, в которых запроектированы переломы проектной линии. В начале трассы на ПК 0, на котором запроектирована насыпь высотой 0,50 м, записывают проектную отметку, равную фактической отметке ПК 0 плюс 0,50 м. Отметки остальных точек вычисляют по формуле
Нn = Нn-1+id,
где Нn - определяемая проектная отметка; Нn-1 - известная проектная отметка предыдущей точки; i - проектный уклон; d - горизонтальное расстояние (заложение) между точками, в которой определяется отметка и предыдущей.
Вычисленные проектные отметки округляют до сотых долей метра, после чего записывают в графу 3 проектных отметок.
3. По вычисленным проектным отметкам точек переломов проектную (красную) линию наносят на профиль.
4. Вычисляют проектные отметки всех остальных пикетов и плюсовых точек профиля (по той же формуле, что и в п. 2). Во избежание лишних ошибок в вычислениях рекомендуется за предыдущую точку с отметкой Нn-1 всегда брать начало данного элемента проектной линии, учитывая расстояние от этой начальной точки до точки, отметка которой вычисляется. Вычисленные отметки записываются в графу 3.
Чтобы убедиться в правильности расчетов и графических построений, целесообразно все вычисленные проектные отметки использовать для контроля построения проектного профиля трассы. Очевидно, что если и вычисления, и построения выполнены верно, то точки ПК 1, ПК 1+44, ПК 2, ПК 2+56, ПК 2+70, ПК 2+91, ПК 3, построенные по их проектным отметкам, должны точно попасть на проектную линию, проведенную раньше.
5. Вычисляют отметку точки ПК 1+80, которая нивелированием на местности не определяется. Для этого вычисляют уклон ската местности на участке от ПК 1+44 до ПК 2:
i = h/d,
где h – разность фактических отметок, ближайших к ПК 1+80 передней и задней точек профиля, т.е. ПК 2 и плюсовой точки ПК 1+44; d - горизонтальное расстояние между этими точками.
По вычисленному уклону ската и по горизонтальному расстоянию от точки ПК 1+80 до ближайшей задней точки профиля и находят искомую отметку. Найденную расчетным путем отметку точки ПК 1+80 записывают в скобках в графу 4 профиля.
3. На каждом пикете и плюсовой точке профиля вычисляют рабочие отметки (высоты насыпей или глубину выемок) как разность проектной и фактической отметок. На выемках рабочие отметки записывают под красной линией (см. рис. 11), а на насыпях - над ней. Над точками пересечений черной линии профиля с проектной, называемыми точками нулевых работ (или переходными), записывают рабочие отметки 0,00.
4. Из точки нулевых работ опускают перпендикуляр (ординату) на линию условного горизонта и вычисляют горизонтальные расстояния до этой точки от ближайших пикетов или плюсовых точек профиля (рис. 12). Вычисления выполняют по формулам:

в которых x и y – горизонтальные расстояния до точки нулевых работ от ближайших к ней соответственно задней и передней точек (пикетных или плюсовых) профиля; a и b – рабочие отметки на этих же, задней и передней, точках профиля, между которыми находится точка нулевых работ; d – горизонтальное расстояние между теми же ближайшими к точке нулевых работ точками профиля.

Рис. 12. К вычислению расстояний до точки нулевых работ.
Вычисления расстояний x и y контролируются соблюдением равенства x+y=d.
Отметку Н точки нулевых работ вычисляют по формуле для нахождения проектных отметок и, округлив ее до сотых долей метра, записывают вдоль ординаты, опущенной из точки нулевых работ на линию условного горизонта профиля. Слева и справа от этой ординаты над линией условного горизонта записывают расстояния x и y до точки нулевых работ от ближайшей задней и передней точек профиля (см. рис. 11).
Оформление профилей. Все надписи и построения аккуратно выполняют тушью тонкими линиями.
К р а с н о й т у ш ь ю оформляют проектную линию и все рабочие отметки (кроме нулевых), ось дороги в графе I, все линии и цифры в графе уклонов, разделительную линию между графами 2 и 3, проектные отметки, все линии и надписи в графе 6 (кроме номеров пикетов).
С и н е й т у ш ь ю показывают перпендикуляры из точек нулевых работ на линию условного горизонта, рабочие отметки 0,00, синие отметки (высоты) точек нулевых работ, горизонтальные расстояния x и у, а также линию пикетажа (нижнюю линию графы 5).
Все остальные линии, надписи и цифры выполняют черной тушью.
Насыпи окрашивают к а р м и н о м (красной краской), выемки – г у м м и г у т о м (желтой краской).
На рецензирование представляются:
1) ответы на контрольные вопросы;
2) решения задач на вычисление отметки точки через превышение и через горизонт инструмента;
3) пикетажный журнал;
4) журнал геометрического нивелирования;
5) продольный и поперечный профили трассы дороги.
Контрольная работа 3
Работа состоит из двух заданий, выполняемых в тетради.
Задание 1. Ответы на контрольные вопросы.
Студенты составляют ответы на три вопроса из приведенного ниже списка вопросов и задач. Номер вопроса или задачи определяют последней цифрой учебного шифра студента.
Пример: Шифр 08 В 025 – отвечают на вопросы № 5, 15, 25.
Шифр 08 В 230 – вопросы № 10, 20, 30.
Контрольные вопросы
1. Напишите и проанализируйте формулы для вычисления отметок точек при геометрическом нивелировании способами «из середины» и «вперёд».
2. Перечислите основные типы нивелиров, их обозначения, характеристики и области применения.
3. Напишите формулы для определения превышений тригонометрическим нивелированием по расстояниям, измеренным землемерной лентой и нитяным дальномером.
4. Каковы состав и последовательность работ при инженерно-геодезических изысканиях сооружений линейного типа? Дайте определения терминам «пикетаж трассы» и «пикет».
5. Какие точки трассы называют связующими и промежуточными? Как их нивелируют и как вычисляют отметки этих точек?
6. Как на топографическом плане проводят трассирование трубопровода? Рассчитайте заложение, соответствующее проектному уклону 25‰, если масштаб плана 1:2000, высота сечения рельефа 1м.
7. Назовите источники погрешностей при геометрическом нивелировании и их устранение.
8. Назовите основные методы нивелирования и область их применения.
9. Как выполняется поверка главного геометрического условия нивелира Н-3?
10. В чём заключается отличие замкнутого нивелирного хода от хода, проложенного между двумя исходными точками, и от висячего хода? Как нивелируют висячий ход в целях его контроля?
11. Как определяются высотные невязки замкнутых, разомкнутых (между исходными реперами) и висячих нивелирных ходов?
12. Какими способами можно передать отметку на точку нивелирного хода от репера (марки)?
13. Какая существует в России классификация геометрического нивелирования?
14. Какими приборами производят нивелирование III и IV классов, какие используются при этом рейки?
15. Опишите приведение нивелира в рабочее положение.
16. Как производится работа на станции при нивелировании III класса?
17. Что такое «пикетная точка», «плюсовая точка»? Когда возникает необходимость использовать «иксовую точку»?
18. Назначение пикетажной книжки (журнала).
19. Как уравнивают превышения в замкнутом нивелирном ходе?
20. Какова последовательность нивелирования на станции по пикетажу трассы? Как контролируют отсчёты по рейкам?
21. Найдите среднюю квадратическую ошибку определения превышения геометрическим нивелированием «из середины», если ошибка взятия отсчётов по рейкам 2 мм.
22. Найдите среднюю квадратическую ошибку определения превышения геометрическим нивелированием «вперёд», если ошибка измерения высоты прибора 5 мм, а ошибка взятия отсчёта по рейке 2 мм.
23. Что такое уклон линии и по какой формуле он определяется? Как его выразить в % и в ‰? Как показывают уклоны на профиле?
24. Какие способы применяют для определения площадей на картах, планах и профилях? Какова их точность?
25. Вычислить ошибку в определении превышения при нивелировании «вперёд», если непараллельность визирной оси и оси цилиндрического уровня нивелира составляет 15", а расстояние от прибора до рейки равно 75 м.
26. При нивелировании «из середины» расстояние от прибора до задней рейки равно 60,3 м, а до передней – 58,2 м. Вычислить ошибку в определении превышения, если непараллельность визирной оси и оси цилиндрического уровня нивелира составляет 20".
27. При поверке главного геометрического условия нивелира Н-3 получена величина «х» в линейной мере 4,5 мм на 70 м длины. Вычислить угол «i» между визирной осью и осью цилиндрического уровня нивелира.
28. Вычислить поправку за кривизну Земли и рефракцию при нивелировании «вперёд», если расстояние от прибора до рейки равно 150 м.
29. При проектировании продольного профиля известны проектные отметки: Нпк0= 73,88 м и Нпк4=70,28 м. Вычислить проектную отметку точки ПК2+40, если на участке ПК0-ПК4 проектная линия имеет постоянный уклон.
30. Известны прямоугольные координаты трёх точек трассы: начало трассы НТ, вершины угла поворота ВУП и конца трассы КТ:
Хнт=300 Хвуп=350 Хкт=450
Yнт=200 Yвуп=300 Yкт=350
Вычислить угол поворота трассы. Привести рисунок.
megaobuchalka.ru
2.2. Построение продольного профиля трассы
Продольный профиль трассы вычерчивают на миллиметровой бумаге и используют для проектирования и строительства сооружения. Для большей выразительности рельефа обычно принимают масштаб по вертикали в 10 раз крупнее горизонтального масштаба. При выполнении работы необходимо использовать для продольного профиля горизонтальный масштаб 1:2000, вертикальный 1:200.
Построение профиля необходимо начинать с вычерчивания сетки профиля, т.е. совокупности граф: "План трассы", "Уклоны", "Проектные отметки" и т.д., в которых размещаются различные данные. Размеры каждой графы в километрах даны на образце (рис.2). Первой заполняется графа "Расстояния", где размещают по пикетажному журналу (рис.1) и в соответствии с принятым горизонтальным масштабом 1:2000 все пикетные и плюсовые точки. Затем в графу "Отметки земли" из журнала нивелирования выписывают абсолютные отметки пикетов и плюсовых точек, округлив их до 0,01м. В графе "Пикеты" необходимо проставит; номера соответствующих пикетов. После этого в графе "План трасса" помещают план трассы в принятом горизонтальном масштабе по имеющимся в пикетажном журнале результатам съемки. При этом ось проектируемого сооружения следует изобразить прямой линией, проходящей в середине графы, стрелкой указывают поворот трассы.
Приняв линии графы ''План трассы" за условный горизонт, начинают построение собственно профиля. Для этого в местах пикетов и плясовых точек необходимо восстановить перпендикуляры к линии условного горизонта и отложить по ним вверх в масштабе 1:200 абсолютные отметки, имеющиеся в графе "Отметки земли". Полученные на перпендикулярах точки соединяют ломаной линией, являющейся профилем трассы. Для получения более удобного для работы профиля отметку условного горизонта следует принимать равной не 0, а числу метров, меньшему минимальной отметки земли на 8-16м(4-8см в масштабе профиля) и кратному 10 или 5._Яа рис.2 отметка условного горизонта принять 35м. т.е. на
(45.09-35)=10.09м меньше минимальной отметки земли.
Поперечники вычерчиваются по абсолютным отметкам нивелирного журнала, либо над соответствующим точками продольного профиля, либо отдельно в масштабах и горизонтальных и вертикальном 1:500. Поперечный профиль содержит лишь четыре графы: Пикеты, Расстояние, Отметки земли, и Проектные отметки.
При построении поперечных профилей необходимо провести для каждого из них вертикальную и горизонтальную линии, от точки их пересечения отложить влево и вправо расстояние 10 и 20 м в масштабе 1:500, заполнить все графы сетки, кроме графы проектные отметки, и произвести построение профиля по аналогии с продольным профилем.


2.3. ПРОЕКТИРОВАНИЕ ЛИНЕЙНОГО СООРУЖЕНИЯ НА ПРОФИЛЕ
Проектирование сооружения линейного типа необходимо провести в 2 этапа: нанести на профиль проектную (красную) линию по оси будущего сооружении и сделать расчет величины насыпи или выемки земли во всех точках, чтобы можно было фактический рельеф по трассе преобразовать к проектируемому.
Проектная линия должна быть нанесена с учетом следующих условия.
1) Проектная линия состоит из 2-х участков: участок с уклоном i1 тянется от ПК 0 до НК2+50, от ПК2+50 до ПК 5 участок имеет уклон i2.
2) проектная отметка на ПК 0 равна отметке земли на этом же пикете.
3) Уклон участков проектной линии не должен превышать по абсолютной величине 0,040.
4) Проектную линию наметить таким образом, чтобы площадь выемок на профиле была примерно равна площади насыпей (т.е. соблюден баланс земляных работ).
5) Количество земляных работ должно сводиться к минимуму, т.е. проектная линия должна проходить как можно ближе к поверхности земли (к линии фактического профиля).
Значения уклонов i1 и i2 на первом и второй участках проектной линии вычисляются по формулам:
,
т.е. уклон равен частному от деления разности отметок конца и начала участков проектной линии на горизонтальная расстояние (заложение).
отметки проектной линии, определенные графически, и
заносятся в графу проектных отметок.
Затем заполняют графу уклонов, отделив вертикальными линиями точки изменения уклона проектной линии. В образовавшихся прямоугольниках проводят диагонали, показывающие направление уклона: подъем обозначают линией, идущей снизу вверх, спуск-линией, идущей сверху вниз, а горизонтальную площадку обозначают горизонтальной прямой.
Над наклонной линией выписывают уклон в профилях (0/00) (в тысячных долях), под ней - длину заложения в метрах, на которое этот уклон распространяется.
Затем вычисляют проектные (красные) отметки точек проектной линии по формуле:

- искомая отметка последующей точки проектной линии;
- известная отметка предыдущей точки;
i - уклон трассы на данном участке (знак плюс обозначает подъем, минус-спуск;
d - горизонтальное расстояние.
Полученные отметки записывают в графу красных отметок.
Вычисленная проектная отметка конечной точки участка должна быть равно отметке этой точки, определенной графически.
Теперь на сетке профиля для всех точек имеются отметки фактической поверхности земли (черные отметки) и отметки запроектированной поверхности (красные отметки). Разница проектных и фактических отметок называется рабочими отметками и показывает, какой вид земляных работ необходимо произвести на данном пикете или плюсовой точке. Если отметка земли больше проектной, то рабочая отметка получится с минусом и будет означать излишек грунта, который необходимо "срезать". Если де отметка земли меньше проектной, то рабочая отметка получится со знаком плюс и будет означать недостаток грунта, который необходимо “подсыпать". Рабочие отметки, соответствующие выемке ("срезу") грунта выписываются на профиле под проектной линией, соответствующие насыпи – над ней.
Точки пересечения линии профиля с проектной линией характеризуются отсутствием каких-либо видов земляных работ и называются точками нулевых работ. Для каждой точки работ вычисляют расстояние до ближайших соседних пикетов или плюсовых точек по формулам:
,
Где xиy– горизонтальное расстояние до точки нулевых работ от ближайших к ней задней (левой) и передней (правой) точек профиля; а иb– рабочие отметки на этих же точках профиля, между которыми находится точка нулевых работ;d– горизонтальное расстояние между теми же ближайшими к точке нулевых работ точками профиля.
При этом должно выполняться условие: x+y=d
По вычисленному левому расстоянию x, проектной отметке левой точки и уклону необходимо вычислить отметку точки нулевых работ и записать ее вдоль ординаты, отпущенной из точки нулевых работ над линией условного горизонта профиля. Слева и справа от этой ординаты над линией условного горизонта записывают расстояния X и Y до точки нулевых работ от ближайшей задней и передней точек профиля.
На поперечине профили наносится проектная линия с уклоном, равным нулю. Ее отметка равна проектной отметке того пикета, на котором разбит поперечник ( ПК 1, ПК3+40 или ПК1+60, ПК З) Рабочие отметки вычисляют так же, как и для продольного профиле.
studfiles.net
Построение продольного профиля трассы
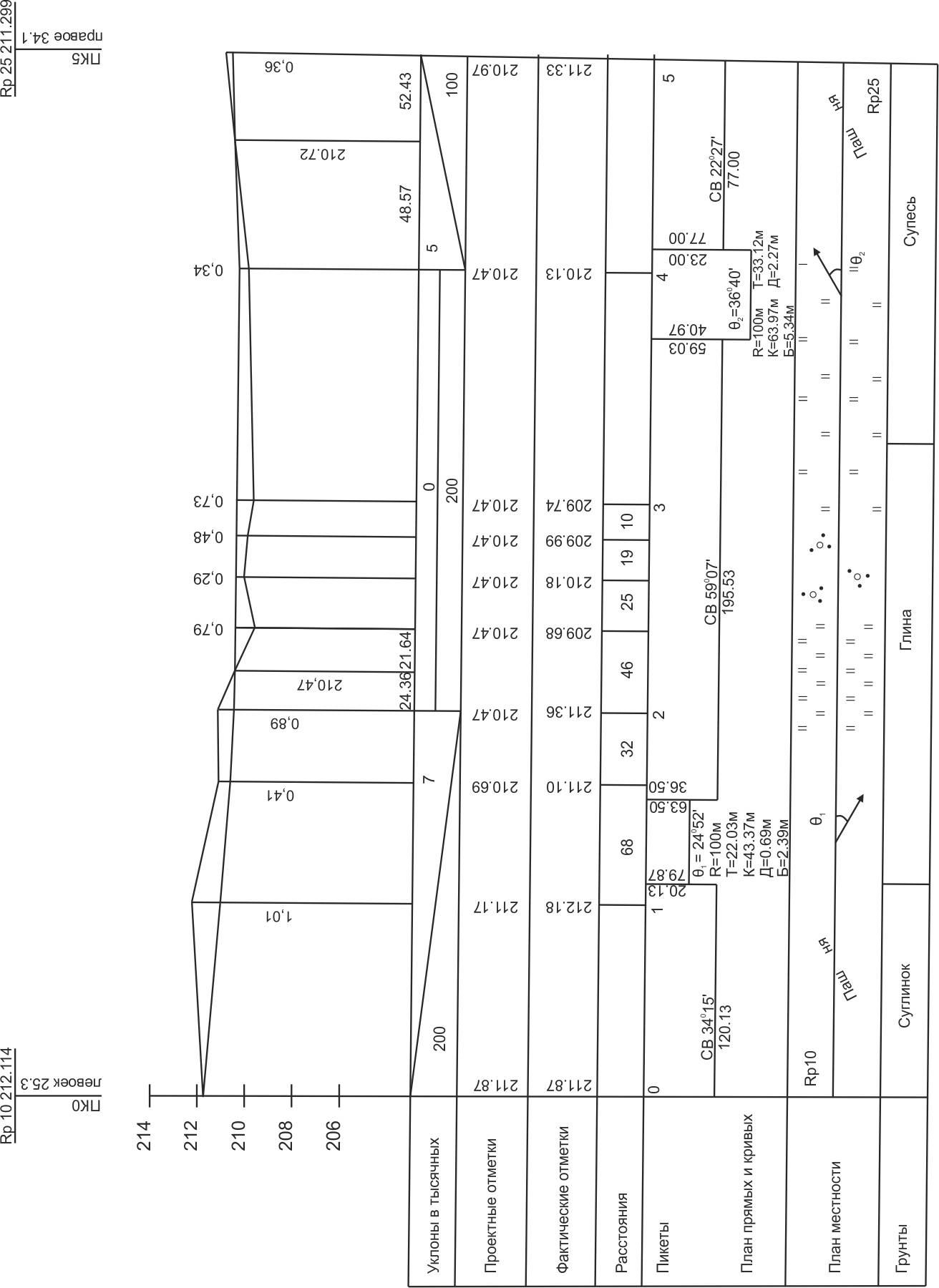
Продольный профиль трассы строится на основе данных журнала нивелирования и пикетажного журнала в масштабах: для горизонтальных расстояний 1: 2 000, для вертикальных – 1: 200. Профиль составляется на листе миллиметровой бумаги. Пример профиля приведен на рис. 72.
Построение профиля начинается с прочерчивания линии условного горизонта, от которой откладывают отметки точек с таким расчетом, чтобы самая низшая точка профиля находилась выше этой линии на 30 – 50 мм.
Например, наименьшая отметка профиля составляет 163,781. Масштаб для высот 1: 200; значит, отметку условного горизонта можно принять (209,74 - 5*2 = 199,74), с округлением 200м.
Ниже линии горизонта проводятся параллельные линии, ограничивающие графы профиля. Разграфка состоит из линий, проведенных через следующие промежутки (от линии условного горизонта): 10, 15, 15, 10, 30, 20, 10 мм. Наименование граф подписывается перед началом профиля, для чего предусматривается поле длиной 40 мм от левой границы профиля.
Первую строку «Уклоны в тысячных» и вторую – «Проектные отметки» оставляют для записывания результатов проектирования на профиле проектной линии.

Рис. 72. Продольный профиль трассы автодороги
В графе «Фактические отметки» записываются отметки пикетов и промежуточных точек из журнала нивелирования трассы с округлением до 0,01 м. Надписи отметок располагают снизу вверх, серединой против соответствующей ординаты.
В графе «Расстояния», заполнение которой идет в первую очередь, записываются горизонтальные проложения (расстояния) между точками профиля с известными высотами. Расстояния между пикетами 100 м в графу не записываются. Под графой подписываются номера пикетов.
В графе «План прямых и кривых» оформляется план прямых отрезков и кривых оси трассы согласно данным пикетажного журнала. Между главными точками начала и конца круговой кривой в виде дуги обозначается кривая выпуклостью вверх при правом угле поворота трассы и вниз – при левом угле. В пределах дуги записываются все элементы кривой (θ, R, K, T, Д, Б). Для прямых отрезков записывают горизонтальные проложения по прямой, а над ней – их румбы. Сумма прямых отрезков трассы и кривых равна длине трассы от нулевого до последнего пикета.
В графе «План местности» изображается план местности вдоль оси трассы (в виде прямой полосы), на которой наносят контуры ситуации, стрелками – углы поворота и расположение исходных реперов. Ситуацию показывают условными знаками.
В нижней графе «Грунты» записывают название грунтов, по которым пролегает трасса.
По фактическим отметкам строится профиль трассы. При этом каждая точка отмечается по высоте на соответствующей ординате. Соединяя по линейке нанесенные точки, получают фактический профиль поверхности земли по трассе в виде ломаной линии.
Профиль вычерчивается тушью в два цвета. Красной тушью заполняются первая и вторая графы, вычерчиваются план прямых и кривых, а также ось трассы в графе шестой. Все остальное вычерчивается черной тушью.
Похожие статьи:
poznayka.org
Пикетажный журнал трассы пример — Bitbucket
———————————————————>>> СКАЧАТЬ ФАЙЛ <<<———————————————————Проверено, вирусов нет!———————————————————
.
.
.
.
.
.
.
.
.
.
.
.
.
.
.
.
.
.
.
.
.
.
.
.
.
.
.
.
.
.
.
.
.
.
.
Одновременно с разбивкой пикетажа ведется пикетажный журнал на миллиметровой. Покажем порядок построения профиля на примере рис. 3. 1. дороги. Номер варианта журнала нивелирования и пикетажной. В нашем примере превышения точки ПКО наЭ Рп1 по отсчётам. продольного и поперечных профилей приводится пример выполне- ния задания. трассы являются пикетажная книжка, обработанный журнал ниве-. Во время разбивки оси трассы автомобильной дороги на местности ведётся пикетажный журнал, в котором рассчитываются элементы. В прил.2 пример результатов вычислений для станций 1 и 2. 1) пикетажный журнал; 2) журнал нивелирования трассы; 3) продольный н поперечные. кривой и пикетажного положения главных точек кривой, подготовке данных. журнала, отметку последней связующей точки (в нашем примере. ГОРИЗОНТАЛЬНАЯ СЪЕМКА ТРАССЫ И РАЗБИВКА ПИКЕТАЖА. Результаты съемки и разбивки пикетажа фиксируют в пикетажном журнале: трассу. Разбивочный чертеж для выноса в натуру главных точек кривой ( пример). Пример профиля приведен на рис. оформляется план прямых отрезков и кривых оси трассы согласно данным пикетажного журнала. На трассе в пикетажном журнале также показывают пикеты и их номера. Например, длина второй прямой вставки в нашем примере равна 55,40. Рассчитать плановое положение трассы. Основа: пикетажный журнал (рис.1 ) общий для всех вариантов. Углы поворота трассы. Продольное нивелирование трассы» по курсу. «Инженерное. Пояснение сопровождается решением примера. Номер варианта. HRp2 = 49,037м;. Пикетажный журнал для всех вариантов одинаков (рис.1). Пример графика учебного процесса на практике по направлению. В пикетажном журнале трассу изображают в виде прямой линии. Углы поворота. Съемка полосы местности вдоль трассы и пикетажный журнал. стрелками. Рис. 30. Пример оформления пикетажного журнала. рования линейных сооружений на примере автомобильной дороги. Строительство. По данным пикетажной книжки и журнала технического нивелиро-. Нивелирование трассы реферат по геодезии скачать бесплатно отметка пикет. выписки из журнала нивелирования и выписки из пикетажной книжки с указанием. этих точках по формуле (10) Пример: м. Обработать журнал нивелирования трассы автомобильной дороги. 3. рассмотрен на следующем примере: длина трассы 600 м, один поперечный. ведется полевой пикетажный журнал, в котором, помимо пикетов и плю-. разбивают пикетаж (система обозначения и закрепления точек трассы), который. Ось сооружения показывают в пикетажном журнале посередине. стояния до ближайших пикетов, как это рассмотрено на следующем примере. исполнителя. Рисунок 4.1 – Пикетажный журнал. Таблица 4.1 – Журнал продольного нивелирования трассы. Пример расчета. При полевом трассировании разбивают пикетаж трассы. полученными на станции из наблюдений. Рис. 25.6. Пикетажный журнал (условный пример).
bitbucket.org
методичка по геодезии
1.ВВЕДЕНИЕ
Линейными считаются сооружения, один из размеров которых (длина) значительно больше двух других (дорожные коммуникации, трубопроводы, линии связи и т.д.).
Основная задача инженерно-геодезическихизысканий при проектировании сооружений линейного типа сводятся к определению на местности в плане и по высоте оси проектируемого линейного сооружения, которая называется трассой. Основными элементами трассы являетсяплан-проекциятрассы на горизонтальную плоскость и продольный профиль - развертка трассы на вертикальную плоскость.
В плане трасса состоит из прямых участков разного направления, сопрягающихся между собой горизонтальными кривыми постоянного или переменного радиуса кривизны. В продольном направлении трасса состоит из линий различного уклона, соединяющихся между собой вертикальными круговыми кривыми.
Трасса автомобильной дороги должна удовлетворять определенным требованиям, которые устанавливаются техническими условиями на ее проектирование, зависящими от категории проектируемой дороги и определяемыми условиями наименьшего ограничения скорости, обеспечения безопасности движения, удобства водоотвода и наилучшей защити дороги от снежных и песчаных заносов. Нормируемыми параметрами автомобильной дороги являются максимально допустимые продольные уклоны, наименьшие расстояния видимости поверхности дороги, наименьшие радиусы кривых в плане и в продольном профиле и т.д.
Весь комплекс инженерно-изыскательскихработ по выбору трассы, отвечающей требованиям технических условий и требующей наименьших затрат на ее возведение и эксплуатацию, называется трассированием.
Оптимальную трассу выбирают путем технико-экономическогосравнения нескольких вариантов.
2.СОДЕРЖАНИЕ РАБОТЫ
Целью работы является закрепление теоретических знаний студентов по геодезическим работам, выполняемым при трассировании линейных сооружений, и выработка практических навыков камеральной обработки результатов инженерно-геодезическихизысканий, полученных на местности.
Исходными данными для выполнения расчетно-графическойработ является результаты полевых изысканий и требования нормативных документов по проектировании автомобильных дорог. Результаты полевых изысканий, а такие в ряд нормативных данных входят в состав индивидуального задания, которое получает каждый студент. Задание содержит:
1. Журнал нивелирования трассы по пикетам и промежуточным точкам.
studfiles.net
11.1. Понятие о трассировании линейных сооружений
Линейными называются сооружения, которые имеют большую протяж- ность при сравнительно малой ширине. К таким сооружениям относятся железные дороги, шоссейные дороги, каналы, трубопроводы и т. д.
Ось линейного сооружения называется трассой. Основные элемен-
ты трассы: плани продольный профиль.
Вплане трасса состоит из прямых участков, соединенных кривыми постоянного или переменного радиуса кривизны.
Впродольном профиле трасса состоит из прямых участков разного уклона, соединенных вертикальными кривыми.
Основное требование, предъявляемое к дорожным трассам– это обеспечение плавности и безопасности движения с заданными скоро- стями. Поэтому план трассы и её профиль должны отвечать определен- ным требованиям, которые рекомендуются техническими условиями на проектирование, где задаются предельно допустимые(руководящие) ук- лоны, минимально возможные радиусы кривых и другие элементы трас- сы.
Вместе с тем, трасса должна проходить так, чтобы были обеспечены минимальные расходы на строительство дороги.
Комплекс работ по определению положения трассы называется трас-
сированием.
Сначала выполняется камеральное трассирование – нанесение трассы на топографические карты, планы или материалы аэрофотосъем- ки. При этом необходимо обходить контурные и рельефные препятствия.
Вэтих случаях возникают варианты проложения трассы.
Вравнинной местности при уклонах местности меньше допустимых выполняют свободное проектирование, используявольный ход, при котором укладку трассы производят по кратчайшему направлению, и её положение зависит только от естественных и искусственных препятствий.
Вхолмистой и горной местности крутизна скатов превышает допусти- мые уклоны дороги, и в таких условиях трассу прокладываютнапряженным ходом, т. е. отыскивают такие её направления, которые имеют пре- дельно допустимый уклон. В результате получают извилистую трассу, ко- торую на отдельных участках спрямляют, заменяя ломаную линию на прямую. В горной местности, для обеспечения допустимого уклона, трас- су прокладывают в виде серпантинов и петель.
После камерального трассирования выполняют полевые изыскания, в ходе которых устанавливают окончательное положение трассы. Проект трассы выносят на местность. Укладывают трассу в виде теодолитно- нивелирного илитеодолитно-высотногохода.
studfiles.net
методичка по геодезии
HKi+ 1 - пикетажное значение начала кривой, расположенного после прямой вставки;
КKi - пикетажное значение конца кривой, расположенного перед прямой вставкой;Н- нестандартность пикетов трассы, если она есть.
В нашем случае один из пикетов трассы (ПК 4) имеет длину не 100м, а 125 м. В этом случая нестандартность Н=25м. Учет ее производится на участке трассы между вершинами первого и второго угла поворота.
П2 = НК2 – КК1 + Н = 500,40 – 369,23 + 25 = 156,17 м.
Остальные прямые вставки подсчитаны нами ранее в п. 7 и п. 20 раздела 3.2.
Графа 14 -рассчитываютпо формуле
где Si - расстояние между вершинами;
ВУ i + 1 - пикетажное значение последует ей вершины угла поворота;
ВУ i - пикетажное значение предыдущей вершины угла поворота; Д4 - домер предыдущей кривой;
Н - нестандартность пикетов трассы между вершинами углов поворота, если она есть.
Например: S 2/1 =555 - 218 + 3,79 + 25 = 365, 79 м.
Графа 15 -рассчитываютдирекционные углы прямых вставок трассы по формуле
αj= αj-1± θ,
где αj - значение дирекционного угла после угла поворота трассы;αj-1 - значение дирекционного угла перед углом поворота трассы;
θ - угол поворота трассы с учетом его направления; направо (+) или налево(-).
Графа 16 - вычисляют румбы направлений, используя взаимосвязь румбов и дирекционных углов.
После заполнения граф ведомости прямых и кривых производят её контроль так, как его указано в прил. 2.
3.4. Построение плана трассы
План трассы наносят на карту в районе изысканий. В учебной работе ограничиваются построением элементов плана трассы в масштабе 1:5000 с ориентировкой по румбу начального направления. Образец оформления плана приведен в прил. 3.
На бумаге формата А3 мм трассу наносят по расстояниям между вершинами и румбам направлений. Отступив сверху и от края листа, проводят линию осевого меридиана. Сообразуясь с общим направлением трассы, намечают положение начальной точки ПКО так, чтобы вся трасса в дальнейшем уместилась на листе чертежа. На рис. 2 приведены возможные варианты расположения трассы; в точке ПКО проводят линию осевого меридиана и откладывают от неё румб начального направления. На полученном направлении от начальной точки трассы ПКО, в масштабе 1:5000, откладывает расстояние от ПКО до первого угла поворота (в нашем примере оно равно 218 м), получают положение вершины угла поворота I (ВУ №1). В этой точке проводят линию осевого меридиана, откладывают румб следующего направления и расстояние между ВУ №1 и ВУ №2, равное S 2/1 , с учетом нестандартного пикета, равного 125,00 м, после чего получают положение вершины угла поворота 2 (ВУ №2).
Рис. 2
Подобным образом получают положение ВУ №3 и ПК 11. Расположив схему трассы примерно посредине листа, в местах поворота разбивают кривые.
В контрольной работе кривые строят следующим образом: по обе стороны от каждой из вершин углов поворота откладывают тангенсы (см. рис. 2). Из полученных точек восстанавливают перпендикуляры к сторонам угла. Пересечение перпендикуляров является центром окружности с радиусом, равным проектному.
На сторонах перпендикуляров выписывают значения качала кривой ПК 0+62,98, конца кривой ПК 3+69,23, радиуса (см. прил. 3). Если радиус большой, то восстановленные перпендикуляры пересекаются за пределами листа бумаги. В этом случае кривую вычерчивает по трем точкам - началу, концу и середине кривой. Середину кривой находят так: угол β делят пополам при помощи транспортира, откладывают значение биссектрисы и получают положение середины кривой.

Рис. 3 На плане трассы подписывают номера пикетов, которые отмечают штрихами дли-
ной в два миллиметра. Положение пикетов на трассе строят графически. Ситуацию на плане составляют по данным пикетажного журнала и показывают привязку трассы к реперам.
3.5. Обработка журнала геометрического нивелирования.
Обработка журнала нивелирования сводится к вычислению отметок связующих и промежуточных точек трассы. Отметки связующих точек вычисляют через превышения, отметки промежуточных точек - через горизонт инструмента. Пример обработки журнала нивелирования приведен в прил. 4.
При обработке журнала следует иметь в виду, что на каждой связующей станции прямого и обратного ходов отсчеты по рейдам на связующих точках брались по черной и красной сторонам рейки, а для промежуточных точек прямого хода - только по черной стороне рейки. Обработку рекомендуется проводить в следующей последовательности:
1.В журнал нивелирования из индивидуального задания выписывают отсчеты по рейке в каждой точке, т.е. заполняют графы 1 + 5 журнала, в графу 11 выписывают отметку репера 1. Запись производится карандашом.
2.На каждой станции прямого и обратного ходов вычисляют превышения по черной и красной сторонам рейки между связующими точками по формуле:
h = a - b
13
где | a- отсчет по задней, | b - отсчет по передней рейкам. |
Результат вычисления записывают в графу 5 или 6. Если расхождения между превышениями, определенными по красной и черной сторонам рейки, не превышают 5 мм, то вычисляют среднее превышение hср , округляя его до целых миллиметров. Результат записывают в графу 7 или 8 с учетом знака превышения.
3. Для контроля правильности вычислений в журнале выполняют постраничный контроль. Для этого на каждой странице журнала подсчитывают сумму
задних отсчетов ( | ), сумму передних отсчетов ( | ), алгебраические суммы | |
превышений ( | ) и средних превышений ( | ). Рассчитывают величины | |
( | ), 0,5 | Если в вычислениях на данной странице не было допущено | |
ошибок, то должны выполняться равенства
Первое равенство должно выполняться тождественно, второе с точностью до 1-2мм за счет округлений при расчете средних превышений.
4. Производят вычисление невязки нивелирного хода. В данной работе производилось нивелирование разомкнутого хода, опирающегося на реперы №1 и 2, невязка которого рассчитывается по формуле
где | - сумма средних превышений по обратному нивелирному ходу, |
-сумма средних превышений по прямому нивелирному ходу.
5.Вычисляют значение допустимой невязки для данного нивелирного хода, нивелирование которого выполнялось техническим нивелированием по формуле
где h- число станций в ходе.
Все расчеты, связанные с определением фактической и допустимой невязок, записывают на последней странице журнала нивелирования.
6. Сравнивают фактическую невязку хода с допустимой, и если производят исправление средних превышений по ходу, внося в них по-
правки – Sh . Для этого невязкуfh c обратным знаком распределяют примерно поровну между средними превышениями с точностью до миллиметра. Если невязка не верна(число миллиметров в невязке меньше количества превышении), то некоторые превышения в начале и в конце хода оставляют без поправок. Поправки записывают в
графе 8 вид средними превышениями с учетом знака поправки, контролируя, чтобы сумма всех поправок равнялась невязке с обратным знаком.
7. Последовательно от отметки репера №1 вычисляют отметки связующих точек хода по формуле
Hi+1 = Hi ± ( hср ± δh)
где Hi+1; Hi - соответственно отметки последующей ж предыдущей связующих точек;
( hср ± δh)- исправленное превышение между двумя точками. При расчете по данной формуле необходимо привести слагаемые в единую размерность - метры. Рассчитанные отметки связующих точек записывают в графу 9. Контролем правильности расчетов является получение в результате вычислений известной отметки репера № 1.
8. Вычисляют горизонты инструмента для тех станций, с которых проводилось нивелирование промежуточных точек по формуле
ГИ = Нj+aj ,
где Нj –отметкапредыдущей связующей точкиa i-верхнийотсчет по рейки на эту точку.
Значение горизонта инструмента записывают в графу 9.
9. Вычисляют отметки промежуточных точек по формуле
Нс = ГИ – сi
где сi - отсчет по рейке на промежуточную точку.
Отметки промежуточных точек записывают в соответствующие строки графы 11.
3.6. Построение продольного профиля трассы
Продольный профиль отроится по данным пикетажного журнала и журнала нивелирования. Профиль строят на листе миллиметровой бумаги размером 297x800 мм в горизонтальном масштабе М1:2000 и вертикальном масштабе М1:200. Сначала профиль составляют в карандаше, выполняя все необходимые построения тонкими линиями, закончив построения, профиль оформляет в туши так, как его показано в прил.6.
Построения и расчеты выполняют в следующей последовательности:
1. В нижней части листа миллиметровой бумаги вычерчивают сетку (разграфку) профиля, состоящую из шести горизонтальных граф, размеры которых приведены в прил. 6. На формате должны быть основная надпись, поперечный и продольный профили.
Такой вид профильной сетки является несколько измененным и сокращенным в сравнении с нормативной разграфкой в связи с учебным характером выполняемой работы.
Верхняя линия профильной сетки называется линией условного горизонта. Ее следует вычерчивать на утолщенной горизонтальной линии миллиметровой бумаги; начало линии условного горизонта располагают также на одной из утолщенных вертикальных линий миллиметровки.
2. По данным пикетажного журнала и журнала нивелирования заполняют графу расстояний, откладывая в ней горизонтальные расстояния в масштабе 1:2000. Плановое положение всех пикетов и плюсовых точек фиксируют в этой графе вертикальными отрезками (перегородками). Вертикальные отрезки, обозначающие пикеты, в масштабе 1:2000 проводятся через каждые 5 см и должны попасть на утолщенные вертикальные линии миллиметровки. Под нижней линией графы расстояний, называемой линией пикетажа, подписывают номера пикетов. Пикетажные значения плюсовых точек не подписывают, но между вертикальными перегородками в графе расстояния записывают горизонтальные расстояния между каждыми двумя соседними точками профиля. Если между соседними пикетами плюсовых точек нет, то расстояние 100 м в графе расстояний не записывают.
3.Заполняют графу отметки земли, выписывая в нее из графы "отметка" журнала нивелирования отметки пронивелированных точек поверхности земли. При записи отметки округляют до сотых долей метра.
4.По отметкам земли строят линию продольного профиля местности, откладывая отметки точек в масштабе 1:200 вверх от линии условного горизонта. Отметку условного горизонта выбирают из расчёта того, чтобы ока была кратной 10 м и такой, чтобы самая низкая точка профиля отстояла от линии условного горизонта не блике чем на 4 см (превышение на местности 8 м). Эту отметку записывают левее начальной точки линии условного горизонта.
Отметки всех пронивелированных точек строят на перпендикулярах к линии условного горизонта, откладывая от этой линии в масштабе 1:200 соответствующие разности отметок земли и отметки линии условного горизонта, для удобства построений на профиле слева можно нанести вспомогательный вертикальный масштаб, подписав его через каждый сантиметр по вертикали значениями отметок через 2 м, начиная от отметки условного горизонта.
5.Графу "ситуация" заполняют по данным пикетажного журнала. Посредине гра-
фы проводят ось дороги, условно развернутую в прямую линию, и в масштабе 1:2000 строят план полосы местности, прилегающей к трассе. Вместо изображения условных знаков угодий обычно пишут соответствующие названия: "луг", "выгон" и т.п. Короткими стрелками показывают направления основных скатов местности.
6. В графе "План трассы" показывают положение прямых и кривых участков трассы. Графа заполняется по данным ведомости прямых и кривых. Посредине графы проводят прямую линию, которая изображает положение всех прямых участков трассы. Вверх и вниз от неё смещают криволинейные участки трассы. Для этого на прямой в масштабе 1:2000 откладывают рассчитанные пикетажные значения начала и конца каждой кривой. Из полученных точек опускают перпендикуляры на линию пикетажа. Вдоль перпендикуляров записывают расстояния от начала и конца кривой до ближайшего заднего и переднего пикетов.
Кривые условно обозначают скобками, обращенными при поворотах трассы вправо - выпуклостью вверх, а при поворотах ее влево - выпуклостью вниз. Под каждой кривой записывают значения ее элементов. Над серединой каждой прямой вставки трассы выписывают ее длину, а под ней - ее румб.
для изображения километрового указателя на ПКО от линии пикетажа опускают перпендикуляр длиной 17 мм, на конце которого вычерчивают окружность диаметром 5* мм и её правую половину заливают тушью.
7.Примерно в 1,5 см над линией профиля показывают положение репера. Для этого проводят вертикальные отрезки длиной около 2 см, вдоль которых - слева и справа - записывают прямоугольные координаты репера относительно трассы. На горизонтальной черте сверху указывают номер репера и его отметку.
8.Производят построение продольного профиля проектной линии в соответствии
сданными индивидуального задания по рабочей отметке на ПКО и предельном уклоне проектируемой автодороги. При проектировании линии продольного профиля стремятся выполнить условие минимальности объёма земляных работ.
Этот принцип может быть реализован, если суммарный объём выемок и насыпей по продольному профилю будет запроектирован примерно равным.
Проектную отметку на ПКО вычисляют по формуле
где - проектная отметка ПКО; отметка земли ПКО;
рабочая отметка на ПКО, взятая ив индивидуального задания.
Вычисленную проектную отметку ПКО записывают в графу «Проектные отметки» и наносят на профиль по перпендикуляру, построенному в точке ПКО. От проектной отметки на ПКО намечают проектную линию всей автодороги с учётом выполнения требований по объему земляных работ, указанных выше. В рассматриваемом примере проектная линия построена по трём точкам ПКО, ПК5, причем за проектные отметки ПК0 и ПК5 приняты отметки земли этих точек.
Проверяют допустимость запроектированных на отдельных участках уклонов в сравнении с предельно допустимым продольным уклоном, данным по индивидуаль-
ному заданию. Для этого вычисляют превышения между конечными точками одного и того же уклона и горизонтальное проложение между ними.
Горизонтальное проложение берут из графы расстояния с учетом нестандартности пикетов, если она есть. Вычисляют уклон проектной линии на данном участке по формуле
где h - превышение между конечными точками одного уклона;
d- горизонтальное проложение между ними ;
—проектные отметки начала, и конца уклона.
Вслучае превышения проектного уклона по сравнению с допустимым производят перепроектирование проектной линии продольного профиля на данном участке. Аналогично производится расчет уклонов на всех последующих участках. По вычисленным проектным отметкам точек переломов проектную линию наносят на продольный профиль.
Впримере рассчитаны уклоны на двух участках проектируемой дороги. На основании индивидуального задания можно проектировать уклоны для трех и более участков. Отметки в точках изменения уклонов, если отметки земли и проектные отметки в них не совпадают, могут быть подсчитаны графически с учетом вертикального масштаба продольного профиля.
9.Заполняют графу проектных уклонов, прочерчивая в ней в местах изменения уклона вертикальные перегородки. У каждой перегородки, слева и справа вдоль нее, вертикально записывают расстояния в метрах на местности от места данного изменения уклона до ближайших заднего и переднего пикетов. Если его изменение происходит на пикете, то с обеих сторон пишут нули.
Внутри каждого прямоугольника, на которые разбита графа проектных уклонов, проводят диагональ соответствующего направления, показывающую подъемы и спуски проектной линии. На горизонтальных отрезках трассы посередине графы проводит горизонтальную черту. Над диагональю или горизонтальной чертой указывают значение проектного уклона в тысячных, а под ней - длину заложения в метрах, на которое этот уклон распространяется.
10.Вычисляют проектные отметки всех пикетов и плюсовых точек по фор-
муле
где | - проектная отметка точки, принадлежащей данному уклону; |
| НH - проектная отметка точки начала данного уклона; |
| i - проектный уклон на данном участке; |
| d - горизонтальное расстояние между точкой , в которой определяется отмет- |
| ками начальной точкой уклона. |
В рассматриваемом примере:
Hпк1 = Hпкo + id = 69,56 + 0,004·100 = 69,96 ;
Hпк1+40 = Hпкo +id = 69,56 + 0,004·140 = 70,12 ;
11.На каждом пикете и плюсовой точке профиля вычисляют рабочие отметки (высоты насыпей или глубины выемок) как разность проектной отметки и отметки земли. На выемках рабочие отметки записывают под проектной линией, а на насыпях - над ней. Над точками пересечений линии профиля местности с проектной линией записывают отметки 0,00.
12.Места пересечения проектной линии я линии профиля местности, где отметки земли и проектные отметки совпадают, называются точками нулевых работ. Эти точки показывают на профиле к закрепляют на местности. На профиле из точки нулевых работ опускают перпендикуляр на линию условного горизонта и вычисляют горизонтальные расстояния до этой точки от ближайших пикетов или плюсовых точек профили (см. рис 3). Вычисления выполняют по формулам:
вкоторых х иу - горизонтальные расстояния до точки нулевых работ от ближайших к ней соответственно задней и передней точек (пикетных или плюсовых) профиля;а иb - рабочие отметки на этих же течках профиля;d - горизонтальное расстояние между теми же ближайшими к точке нулевых работ точками профиля.
Вычисление расстояний х и у. контролируются соблюдением равенства
a + y = d.
Вычисленные горизонтальные расстояния х и у - округляют до десятых долей метра я записывают слева и справа от ординаты, опущенной из точки нулевых работ на линию условного горизонта.
Отметку Hi точки нулевых работ вычисляют по формуле для нахождения проектных отметок.
Продольный профиль вычерчивают тушью двумя цветами: черным и красным. Красным цветом вычерчивают все проектные данные: проектную линию, рабочие отметки, ось дороги в графе "Ситуация", все линии и надписи в графах "Проектные отметки", "Проектные уклоны", "Прямые и кривые в плане. Все остальные элементы профиля вычерчивают черным цветом.

Рис. 3
3.7. Построение поперечного профиля
Поперечный профиль вычерчивают над основной надписью (штампом чертежа). Оба его масштаба - и горизонтальный, и вертикальный - принимают Мг1:200,
Мв1:2000. Сетку поперечника следует разбить, как показано в прил.6.
для поперечного профиля подготавливают и заполняют две графы: отметки земли и расстояний.
Следует помнить, что все горизонтальные расстояния в поперечном профиле указываются от оси трассируемого сооружения. На поперечном профиле их следует откладывать вправо и влево от вертикального отрезка, обозначающего в графе расстояний положение ПКЗ + 48. Последний подписывают симметрично относительно этого отрезка под нижней линией графы расстояний. Расстояния между соседними точками на поперечнике записывают в графе расстояния.
По отметкам земли строят линию поперечного профиля. Отметка его линии условного горизонта может быть взята та же, что и на продольном профиле.
Над поперечным профилем подписывают его название "Поперечный профиль на ПК 3+48", указывают масштаб его построения.
3.8. Оформление расчетно-графической работы .
Работа должна быть оформлена в следующем виде:
1.Из ватмана делают об ложку, титульный лист которой надписывают в соответствии, с прил. 8.
2.На обратной стороне титульного листа приклеивают почтовый конверт, в который вкладывают пикетажный журнал.
3.Порядок распределения документов при сшивке работы следующий:
1)Содержание;
2)пикетажный журнал;
3)ведомость прямых и кривых;
4)план трассы;
5)журнал геометрического нивелирования на двух листах;
6)продольный профиль;
7)поперечный профиль.
20
studfiles.net





-2014.jpg)





